matty_prasad
banner
urbanmatt.bsky.social
matty_prasad
@urbanmatt.bsky.social
Practical Urban Designer, imperfect person. Trying to make places better for people one space at a time - opinions are my own.
I'm feeling this page
March 3, 2025 at 6:48 AM
great to see a group set up to tackle the problem but I see a problem already.
December 6, 2024 at 9:13 PM
it's Monday night the city is dead.
December 2, 2024 at 6:48 AM
at the 2050 infrastructure forum about to hear from Chris Bishop and Chris Hipkins looking forward to some interesting stuff hopefully.
December 2, 2024 at 3:01 AM
individualised rubbish bin collection is not fit for purpose for urban environments.

We need to move to more urban solutions with common collection bins.

These bins are placed in the bike lane. Even if they weren't, the grab arm from the truck would have to reach across the lane. both bad.
November 26, 2024 at 11:15 PM
How to fix Panmure's Intersection

1) keep busway
2) terminate Queens Rd and Potaka Ln.
3) This then enables a conventional 4-way intersection. See how much smaller it can be with shorter crossing distances.
4) a couple of ped plazas to eat your peaches fried chicken or for wkend markets

4/4
November 25, 2024 at 3:11 AM
The left only turn from Jelicoe Rd is particularly weird as it directs traffic into the Queens road essentially the slow speed road through the town centre.

to go right towards Mount wellington you must take the red dashed routes. to avoid that people take the blue route

3/4
November 25, 2024 at 3:11 AM
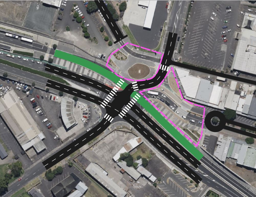
The reworked intersection is worthy of #gohomeengineeryouaredrunk

-Red - Massive distances
-Green unable to go straight through
-Pink - awkward traffic position on queens road
-yellow - because of pink have to have coloured lane delineation to ensure cars don't end up in the wrong place.

2/4
November 25, 2024 at 3:11 AM
New site, new content.

Thought I would resurrect something I used to do a while back. Fixing road/intersection/urban layouts for better urban outcomes.

Lets start with the infamous Panmure intersection.

Left is what it looks like today, Right is the original round-a-bout that was replaced

1/4
November 25, 2024 at 3:11 AM