Jay Hobgood
jayhobgood.bsky.social
Jay Hobgood
@jayhobgood.bsky.social
Tropical Cyclones, Central Ohio Weather, other interesting weather.
Tropical Storm Koto is stalled over the South China Sea east of Vietnam; max wind speed 50 mph (80 km/h); moving toward north at 3 mph (5 km/h).
November 29, 2025 at 9:16 PM
Tropical Storm Koto is meandering over the South China Sea east of Vietnam; max wind speed 60 mph (95 km/h); moving toward north at 3 mph (5 km/h).
November 28, 2025 at 9:14 PM
Tropical Cyclone Ditwah continues to affect Sri Lanka and southern India; max wind speed 40 mph (65 km/h); moving toward north-northwest at 4 mph (6 km/h).
November 28, 2025 at 2:21 PM
Former Typhoon Koto weakens to a tropical storm over the South China Sea; max wind speed 70 mph (110 km/h); moving toward south-southwest at 5 mph (8 km/h).
November 27, 2025 at 9:19 PM
Tropical Cyclone Ditwah forms over southwest Bay of Bengal near Sri Lanka; max wind speed 40 mph (65 km/h); moving toward northwest at 7 mph (11 km/h).
November 27, 2025 at 2:38 PM
Former Tropical Storm Koto strengthens to a typhoon over the South China Sea; max wind speed 80 mph (130 km/h); moving toward northwest at 12 mph (19 km/h).
November 26, 2025 at 9:04 PM
Tropical Cyclone Senyar is bringing wind and rain to northern Sumatra; maximum sustained wind speed 40 mph (65 km/h); moving toward south-southeast at 4 m.p.h. (6 km/h).
November 26, 2025 at 1:35 PM
Tropical Cyclone 04B forms over Malacca Strait; max wind speed 40 mph (65 km/h); moving toward west-northwest at 4 mph (6 km/h).
November 25, 2025 at 4:37 PM
Tropical Cyclone Koto develops over northern Sulu Sea; max wind speed 45 mph (75 km/h); moving toward west-northwest at 13 mph (21 km/h).
November 25, 2025 at 4:36 PM
Tropical Cyclone Fina hits the northeast Kimberley coast of Australia; max wind speed 125 mph (200 km/h); moving toward southwest at 5 mph (8 km/h); Warning in effect for portion of coast from border between Northern Territory and Western Australia to east of Kalumburu.
November 24, 2025 at 1:51 PM
Tropical Cyclone Fina is moving over the Timor Sea; max wind speed 110 mph (175 km/h); moving toward southwest at 7 mph (11 km/h); Warning in effect for coast of Australia from Wadeye to Daly River Mouth and for coast from Northern Territory/Western Australia border to Kalumburu.
November 23, 2025 at 2:15 PM
Tropical Cyclone Fina is bringing wind and rain to Darwin, Australia; core of Fina with strongest winds passing northwest of Darwin; max wind speed 100 mph (160 km/h); moving toward WSW at 5 mph (8 km/h); Warning for central and western Tiwi Islands; Warning also for coast from Cape Hotham to Wadeye
November 22, 2025 at 2:28 PM
Tropical Cyclone Fina crosses Cobourg Peninsula in northern Australia; max wind speed 80 mph (130 km/h); moving toward southwest at 8 mph (13 km/h); Warning in effect for Kiwi Islands; Warning also in effect for portion of coast from Daly River Mouth to Warruwi including Darwin.
November 21, 2025 at 9:47 PM
Tropical Cyclone Fina is moving toward the coast of northern Australia; max wind 75 mph (120 km/h); moving toward west-southwest at 6 mph (10 km/h); Warning in effect for Tiwi Islands; Warning also in effect for portion of coast from Dundee Beach to Warruwi including Darwin.
November 21, 2025 at 3:50 AM
Risk posed by Tropical Cyclone Fina prompts issuance of Warning for northern coast of Australia from Cape Don to Warruwi including the Cobourg Peninsula and Minjilang; max wind 65 mph (105 km/h); moving toward east at 5 mph (8 km/h); forecast to turn toward the south.
November 19, 2025 at 1:51 PM
Tropical Cyclone Fina forms over western Arafura Sea north of Darwin, Australia; max wind speed 45 mph (75 km/h); moving toward east-northeast at 5 mph (8 km/h).
November 18, 2025 at 7:08 PM
Former Typhoon Fung-wong weakens to a tropical storm southwest of Taiwan; max wind speed 60 mph (95 km/h); moving toward north-northeast at 8 mph (13 km/h).
November 11, 2025 at 2:38 PM
Typhoon Fung-wong moves over the South China Sea; max wind speed 80 mph (130 km/h); moving toward north-northwest at 11 mph (17 km/h).
November 10, 2025 at 3:37 PM
Scenes at the Summitview Weather Center this morning.
November 10, 2025 at 2:32 PM
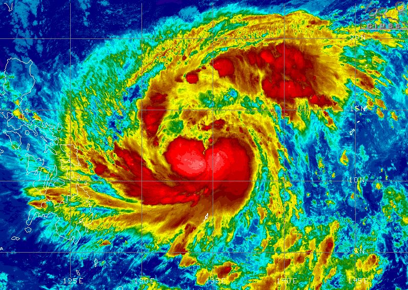
Typhoon Fung-wong hits Luzon; max wind speed 115 mph (185 km/h); moving toward northwest at 21 mph (33 km/h); HII=20.6, HSI=27.1, HWISI=47.7; similar in size and intensity to Hurricane Irma when Irma hit Southwest Florida in 2017.
November 9, 2025 at 2:30 PM
Typhoon Fung-wong has intensified to the equivalent of a major hurricane east of the Philippines; max wind speed 125 mph (200 km/h); moving toward west-northwest at 23 mph (37 km/h).
November 8, 2025 at 8:49 PM
Former Tropical Storm Fung-wong strengthens to a typhoon east of the Philippines; max wind speed 75 mph (120 km/h); moving toward west-northwest at 14 mph (22 km/h).
November 7, 2025 at 4:12 PM
Typhoon Kalmaegi hits Vietnam; max wind speed 125 mph (200 km/h); moving toward west at 17 mph (28 km/h).
November 6, 2025 at 1:25 PM
Typhoon Kalmaegi strengthens to equivalent of a major hurricane east of Vietnam; max wind speed 115 mph (185 km/h); moving toward west-northwest at 21 mph (33 km/h).
November 5, 2025 at 9:11 PM
Former Tropical Depression 32W strengthens to Tropical Storm Fung-wong east of Yap; max wind speed 40 mph (65 km/h); moving toward west-northwest at 14 mph (22 km/h); forecast to intensify to a typhoon.
November 5, 2025 at 9:10 PM